
Bursa Büyükşehir Belediyesi, Nilüfer-Osmangazi-Mudanya ilçelerinin kilit noktalarından olan ve Bademli ile Geçit’i kapsayan bölgede önemli bir ulaşım yatırımının temelini attı.
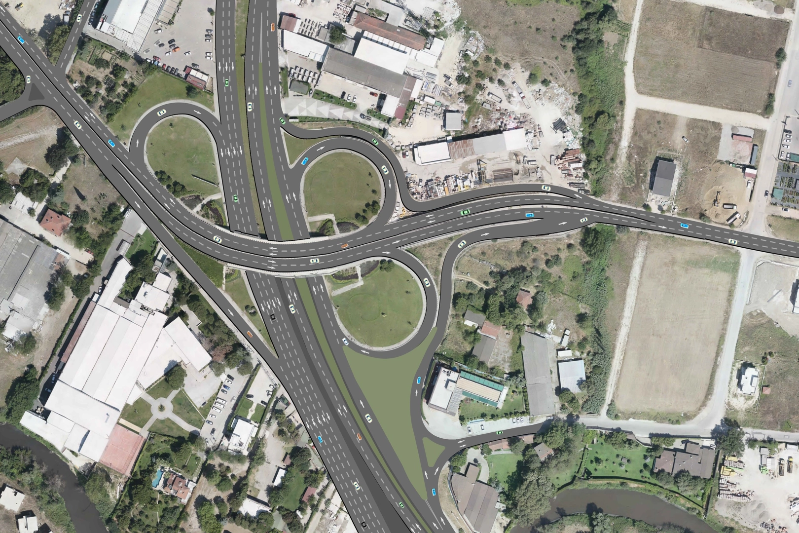
Sanayi Caddesi ile Nilüfer Bademli Kavşağı arasında hayata geçirilen köprü ve şerit genişletme projesiyle, bölgede uzun süredir yaşanan trafik sorunu kalıcı şekilde çözüme kavuşacak. Törende konuşan Büyükşehir Belediye Başkanı Mustafa Bozbey, yıllardır ertelenen bu soruna ortak akılla neşter vurduklarını söyledi. Dar boğaza kalıcı çözüm Bursa’nın ulaşım sorunlarına bilimsel veriler ışığında kalıcı çözümler üretmeyi hedefleyen Büyükşehir Belediyesi, Mudanya yolu üzerindeki dar boğazı ortadan kaldıracak önemli bir projeye start verdi. Mevcut durumda köprüde iki şeride düşen ve sıkışıklığa neden olan trafik akışı, inşa edilecek yeni köprüyle birlikte rahatlayacak.
5 şeritli yeni köprü geliyor Proje kapsamında, Nilüfer Çayı üzerine 25 metre genişliğinde ve 42 metre uzunluğunda, Mudanya-Bursa istikametinde 5 şeritli yeni bir köprü inşa edilecek. Köprü, yol düzenlemeleriyle birlikte mevcut ağlara entegre edilecek. Mudanya’ya devam eden araçlar ile Bademli ve Nilüferköy yönüne dönecek araçlar için ayrı şeritler oluşturularak trafik akışı kesintisiz hale getirilecek. Böylece bölgedeki ulaşım sorunu önemli ölçüde hafifleyecek. 10 ayda tamamlanacak Temel atma töreninde konuşan Başkan Mustafa Bozbey, kentte artan araç sayısının yaşam kalitesini düşürmemesi için planlı adımlar attıklarını belirtti. "Sanayi Caddesi ile Bademli Kavşağı arasında kalan bu noktada ciddi bir trafik daralması yaşanıyor. Şimdi, bu sıkışıklığı gidermek için önemli bir adım atıyoruz. Köprümüzü ve yol düzenlemelerini 10 ay içinde tamamlayarak vatandaşlarımızın hizmetine sunacağız" dedi.
"Trafik planlamasında kararlıyız" Bademli’nin okul yoğunluğu yüksek bir bölge olduğunu hatırlatan Bozbey, bu nedenle özel araç kullanımının da arttığını belirtti. Planlamaların bu doğrultuda yapıldığını vurgulayan Başkan Bozbey, "Ulaşımı bilimsel verilerle ve mühendislik bakışıyla ele alıyoruz. Bugün burada attığımız adım, sadece bir köprü değil, aynı zamanda kentli hakkı ve güvenliği için yapılmış bir yatırımdır. Trafik kazalarının azalması, ulaşımın güvenli ve hızlı hale gelmesi bizim önceliğimizdir. Ulaşımı rahatlatmak için trafik planlamasında kararlıyız" ifadelerini kullandı.
Tarihi köprü korumada Proje kapsamında, bölgede bulunan ve Cumhuriyet döneminde inşa edilen tarihi kemer köprüye zarar verilmeden çalışmalar yürütülüyor. Başkan Bozbey, Karayolları Genel Müdürlüğü ve DSİ ile gerekli koordinasyonun sağlandığını ve kültürel mirasın korunmasına azami özen gösterildiğini belirtti. "Kent Anayasası ile geleceği planlıyoruz" Bursa’nın geleceğini hep birlikte planlamak istediklerini dile getiren Başkan Bozbey, "1/100.000 ölçekli Çevre Düzeni Planı üzerinde çalışıyoruz. Bu plan, bizim kent anayasamız olacak. Bursa’yı ulaşımıyla, doğasıyla, yaşam kalitesiyle planlı bir kent haline getirmek için yola çıktık" dedi. "Ustalığını selamlıyorum" Törene katılan CHP Grup Başkanvekili ve İstanbul Milletvekili Gökhan Günaydın ise, Başkan Bozbey’in şehir plancılığı konusundaki tecrübesine dikkat çekerek, "Mustafa Bozbey, çevreyle uyumlu kent planlamasının önemli bir mimarıdır. İlçe belediyeciliğinden bugüne ortaya koyduğu ustalığı ve vatandaşı ötekileştirmeden hizmet üretme anlayışını selamlıyorum" dedi.
Temel atıldı Törene, Başkan Bozbey’in yanı sıra CHP Grup Başkanvekili Gökhan Günaydın, CHP Bursa Milletvekili Hasan Öztürk, CHP Bursa İl Başkanı Nihat Yeşiltaş, Mudanya Belediye Başkanı Deniz Dalgıç, eski Milli Eğitim ve Milli Savunma Bakanı Turhan Tayan, Osmangazi ve Mudanya Muhtarlar Derneği Başkanları, Büyükşehir Belediyesi yöneticileri, muhtarlar ve çok sayıda vatandaş katıldı. Konuşmaların ardından köprü ve yol genişletme projesi için ilk harç törenle döküldü.